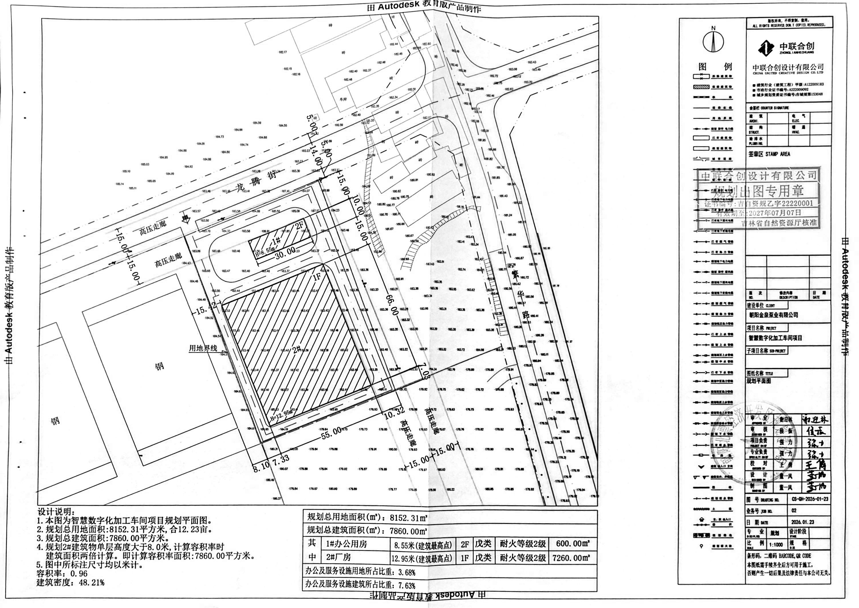
朝阳金泉泵业有限公司智慧数字化加工车间项目建设工程规划许可批后公布
更新日期:2026-03-18 信息来源:朝阳北票经济开发区规划建设局     浏览: 次
依照《中华人民共和国城乡规划法》等法律法规的相关规定,现将朝阳金泉泵业有限公司智慧数字化加工车间项目建设工程规划许可予以公布。朝阳金泉泵业有限公司智慧数字化加工车间项目位于北票市三宝乡三宝村。
公布时间至项目规划核实合格止。凡与以上公布项目内容有利害关系的单位或个人,可在公布期内向本局提出意见,逾期未提出的视为无异议。
联系电话:0421-5392892 电子邮箱:bpjjkfqghjsj@163.com


